Ο τυφώνας Melissa χτύπησε την Τζαμάικα – «Είναι η τελευταία σας ευκαιρία να προστατεύσετε τη ζωή σας» μεταδίδουν οι αρχές στους κατοίκους

(Πηγή: www.newsit.gr)

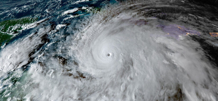
Η Τζαμάικα ζει ώρες αγωνίας καθώς ο τυφώνας Melissa χτυπά το νησί της Καραϊβικής την Τρίτη (28.10.2025). Ο τυφώνας έχει χαρακτηριστεί ως ο δεύτερος ισχυρότερος που έχει καταγραφεί ποτέ στον Ατλαντικό, μεταδίδει το Sky News.

Σύμφωνα με το Εθνικό Κέντρο Τυφώνων των ΗΠΑ, ο τυφώνας Melissa παράγει σταθερούς ανέμους σχεδόν 300 χλμ/ώρα, σε απόσταση μόλις 75 χιλιομέτρων από τις ακτές της Τζαμάικα. Ο διευθυντής της Μετεωρολογικής Υπηρεσίας του νησιού, Έβαν Τόμσον, προειδοποίησε ότι ο κυκλώνας «θα προκαλέσει καταστροφές μεγάλης έκτασης και πιθανώς θανατηφόρες».

ΔΙΑΦΗΜΙΣΗ

ΔΙΑΦΗΜΙΣΗ ΔΙΑΦΗΜΙΣΗ

Η Melissa εμφανίζει χαρακτηριστικά συγκρίσιμα ή και ανώτερα από εκείνα των τυφώνων Κατρίνα και Μαρία, όπως γράφει η… Πηγή

Αφήστε μια απάντηση

Η ηλ. διεύθυνση σας δεν δημοσιεύεται. Τα υποχρεωτικά πεδία σημειώνονται με *